Sdílet na FacebookSdílet na Google+Sdílet na TwitterSdílet na LinkedInPoslat odkaz emailemVytisknout tuto stránku

Archeologický výskum v Dunaji? Možné, ale rozhodne nie jednoduché – Piliere rímskeho mosta v Dunaji – objav roka 2022

Termín konání: 24.10.2023 - 24.10.2023

Archeologický výskum v Dunaji? Možné, ale rozhodne nie jednoduché – Piliere rímskeho mosta v Dunaji – objav roka 2022 Přednáška z cyklu „Na okraji antického světa“

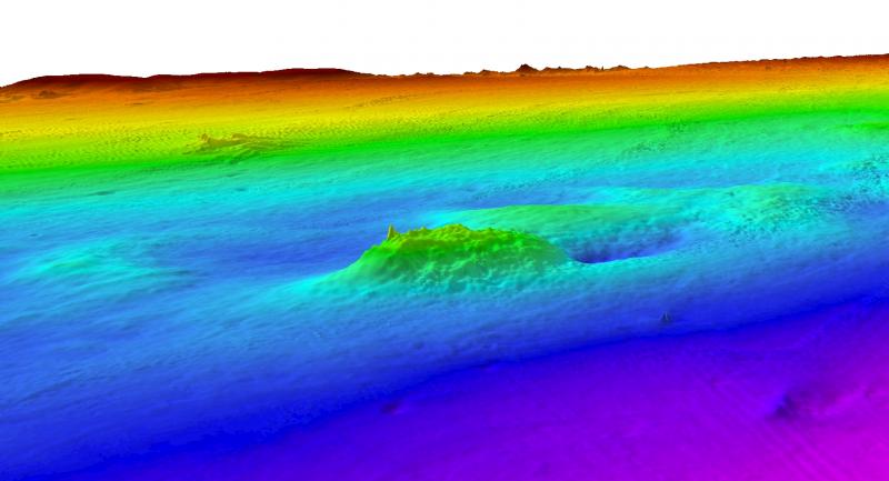
Rimania rešpektovali Dunaj ako prirodzenú hranicu niektorých častí impéria, zároveň ho však využívali ako dôležitú dopravnú tepnu. V rieke sa preto dodnes nachádzajú stopy aktivít spojených s transportom tovaru, rybolovom, bojmi alebo každodenným životom na brehu tohto európskeho veľtoku. Na základe snímok riečneho dna odhalili archeológovia líniu štruktúr, ktoré smerovali k južnej bráne ižianskeho tábora. Podrobnejšie štúdium odhalilo charakteristické pôdorysy so zašpicatením proti riečnemu prúdu. V decembri 2022 sa podarilo odobrať vzorku dreva, ktorá bola metódou 14C datovaná do obdobia 3.–4. stor. Prednáška bližšie predstaví rímsky vojenský tábor v Iži (pamiatku UNESCO) a unikátny výskum v Dunaji medzi ním a Brigetiom.

Přednáší: Mirka Daňová
Cyklus přednášek pořádá Společnost Národního muzea – Sekce přátel starověkých civilizací a Oddělení pravěku a antického starověku Národního muzea

Termín a místo konání: 24. 10. 2023, 17.00 h, Nová budova Národníého muzea
Sraz posluchačů u pokladny v Nové budově Národního muzea
Vstupné: zdarma

sekce: Akce Společnosti přátel starověkých civilizací   |   Tisk   |   Poslat akci známému